Regionale opgaven tbv de regionale investeringen agenda (RIA) regio Breda

Regionale landschappelijke opgaven kaart tbv regionale investerings agenda Breda (RIA)
Regionale opgaven clusters tbv regionale investerings agenda Breda (RIA)
principes van gezonde groei RIA breda
inventarisatie Ria breda "opgave versterken" (gedateerd)
opgaven inventarisatie RIA-breda (gedateerd)
Breda als internationale knoop (omgevingsvisie Breda/concept)
Breda ongedeelde stad (omgevingsvisie Breda/concept)
Breda verbonden met groen (omgevingsvisie Breda/concept)
Breda omgevingsvisie (concept)
Ruimtelijke Analyse kennis as Zuid-Holland gedaan bij BVR
scenario studie Zuid Holland gedaan bij BVR (samen met andere tekenaars)
Analyse Zuid-Holland: tekenwerk gedaan bij BVR (samen met andere tekenaars)
Inventarisatie economie en woon opgaven regio hart van brabant (tbv RIA/concept)
Overzicht regionale opgaven Hart van Brabant (tbv RIA/concept)
opgaven en kansen inventarisatie regio achterhoek (in opdracht van wing)
Achterhoek tussen rust en Reuring (kernwaarde voor vestedelijkingsopgave) in opdracht van wing
achterhoek als bereikbare landschapsmozaiek (in opdracht van wing)
achterhoek lokaal kleinschalige collectieve verstedelijking op basis van landschap, fiets en OV (in opdracht van wing)
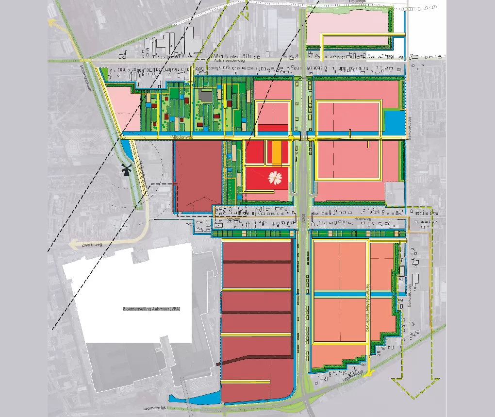
Masterplan Greenpark Aaalsmeer -tekenwerk gedaan bij Enno Zuidema Stedenbouw
Casco Masterplan Greenpark Aalsmeer -tekenwerk gedaan bij Enno Zuidema Stedenbouw
Oriƫntaties Greenpark Aalsmeer -tekenwerk gedaan bij Enno Zuidema Stedenbouw
inventarisatie zorgvoorzieningen gemeente Bronckhorst in samenwerking met Enno Zuidera
In opdracht van Enno Zuidema en gemeente Bronckorst
analyse tekening Hengelo
plankaart binnestadsvisie Meppel (samen met andere tekenaars Enno Zuidema stedenbouw)
Analyse Harmonieplein -tekenwerk gedaan bij Enno Zuidema Stedenbouw (samen met andere tekenaars)
Analyse centrum gouda tbv herstructurering politiebureau (Enno Zuidema Stedenbouw)

Vector cartografie van stad en regio 

Ik ben een echte kaartengek, ik verzamel niet alleen mooie kaarten maar ik teken ze ook graag! Dat tekenen doe ik zowel schetsmatig als in vector.  Vector kaarten zijn wat preciezer. En door dat het vectoren  kun je er beter op inzoomen.  Ze vragen meer tijd in het begin maar zijn daarna aanklikbaar en kunnen eenvoudig meegroeien met uw proces.

Ik maak bijvoorbeeld regelmatig ruimtelijke analyse kaarten. Dat zijn kaarten die 1 ruimtelijke thema illustreren (en vaak de rest weglaten of reduceren). Maar ook regionale en stedelijke strategiekaarten zoals een verstedelijkingsstratgie. Ook meer preciezere beelden zoals een plankaart of een omgevingsvisie kaart doe ik regelmatig. Maar het kunnen ook meer infographic achtige datavisualisaties zijn. we bepalen and e briefing samen of de beleden in vector of schetsmatig en in plat en 3d moeten zijn. (de inhoud en proces bepalen de vorm)

Dit werk doe ik op productbasis of  als (tijdelijk) onderdeel van uw ontwerp- of tenderteams. let op Ik  heb geen Autocad software ik kan dat wel gebruiken als ondergrond voor tekenwerk of bij u op locatie in Autocad tekenen.

 

Terug Lees verder